조황관리HOME / 조황관리 / 상세정보

제목 : 12월13일 여수탑클라스호 감성돔 흘림낚시 5짜외 조황
등록일 : 2025-12-16



#여수선상감성돔 #여수갑오징어 #여수돌문어 #야간돌문어 #선상감성돔 #여수1등 #히트호 #야호 #탑클라스호 감성돔 
탑클라스호 인사올립니다 
어제조황보고드립니다. 터졋다. 오짜 !오짜 3오짜!
바람 부는날.    조사님들 정말고생하셨습니당
내일까지 쉬고
화요일부터 정상출조합니다 
평일여유자리많아요 
함께 복수전. 갑시당용
전화 010. 5667. 5250 ♡탑클라스호 예약사이트♡

#여수선상감성돔 #여수갑오징어 #여수돌문어 #야간돌문어 #선상감성돔 #여수1등 #히트호 #야호 #탑클라스호 감성돔 


여수탑클라스호 인사올립니다 
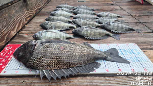
감성돔 감생이 찌흘림 낚시 찌발이 5짜 외 조황입니다.
 
어제조황보고드립니다. 터졋다. 오짜 !오짜 3오짜!
바람 부는날.    조사님들 정말고생하셨습니당
내일까지 쉬고
 
화요일부터 정상출조합니다 
평일여유자리많아요 
함께 복수전. 갑시당용

1000049716.jpg


1000049717.jpg


1000049718.jpg


1000049719.jpg


1000049715.jpg

 
전화 010. 5667. 5250 ♡탑클라스호 예약사이트♡



*** 여수 탑클라스호 예약 안내 ***


예약문의 : 010-5667-5250

오시는길 : 전남 여수시 신월1길 31 (CU편의점 옆)

모바일.jpg 

Top